Hoy es: Viernes, 19 de Diciembre de 2025
Lunes 1 de diciembre de 2025
Fecha de publicación: Lunes, 01 de Diciembre de 2025
Fuente: CIAFEME UADY

UNIVERSIDAD AUTÓNOMA DE YUCATÁN

COMITÉ INSTITUCIONAL PARA LA ATENCIÓN DE LOS FENÓMENOS METEOROLÓGICOS EXTREMOS

CENTRO METEOROLÓGICO

TEMPORADA DE CICLONES TROPICALES 2025

OCÉANO ATLÁNTICO NORTE, GOLFO DE MÉXICO Y MAR CARIBE

                                                                        

Fecha: LUNES 1° DE DICIEMBRE DE 2025

RESUMEN DE LA TEMPORADA DE CICLONES TROPICALES 2025

www.noaa.gov

 

MODELO TRAYECTORÍA INTELIGENCIA ARTIFICAL

 

Hoy 30 de noviembre finaliza la temporada de Ciclones Tropicales 2025 en la cuenca del Atlántico norte, golfo de México y mar Caribe.

Una temporada en donde no se alcanzó el pronóstico que se esperaba dado por la Universidad Estatal de Colorado, E.U. (CSU) emitido a través del Doctor Phil Klozbacht responsable del proyecto de huracanes con 17 Ciclones Tropicales con nombre ya que solo se formaron 13 con nombre uno menos de 14 qué es el promedio.

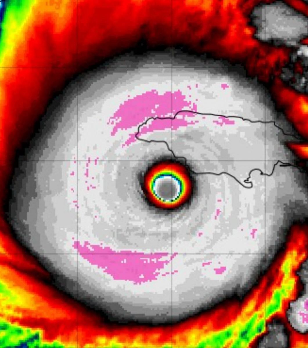
Una temporada en donde se formaron 8 Tormentas Tropicales (Andrea, Barry, Chantal, Dexter, Fernand, Jerry, Karen y Lorenzo), 1 huracán categoría 1 de la Escala Saffir Simpson Imelda, un huracán categoría 4 Gabrielle y 3 huracanes categoría 5 de la escala Saffir Simpson Erin, Humberto y Melissa, destacándose que uno Melissa de categoría 5 causó muerte y destrucción en la isla de Jamaica, este de la isla de Cuba y Haití.

Además, fue histórico fue el tercer huracán más intenso de la historia para esta cuenca después de WIlma 2005 y Gilbert 1988 y el peor huracán con vientos sostenidos de 298 km/h con rachas de 405 km/h en afectar tierra; también fue el segundo Huracán con las rachas más fuertes del mundo después del huracán “Olivia” en el mes de abril de 1996 que afecto a la isla Barrow, Australia.

Yucatán y su península solo fue un espectador más y ya llevamos 23 años desde el último gran huracán intenso ISIDORE en 2002 y la península de Yucatán 19 años desde DEAN en 2007.

Eso no quiere decir que Yucatán este a salvo ya que siempre ha sido una zona afectada por huracanes desde la época de los mayas y en algún momento llegará uno, pero no podemos saber cuándo ya que no hay nada escrito en piedra y pudieran pasar otros 23 años sin afectación.

La cultura de la prevención contra huracanes debe hacerse año con año, aunque no haya ninguna afectación, no hacerlo sería un error garrafal.

Elaboró: MANUEL MORALES QUIÑONES

                 GEORGINA CARRILLO MARTINEZ

Reviso: JUAN VÁZQUEZ MINTALVO

Dudas o sugerencias: vmontal@correo.uady.mx

Para más información: www.ciafeme.uady.mx

                                                                                                  

Fuente: CICESE/WPC/U.S.WEATHER/SMN/NOAA/CNH/CSU

 

 

 




Más Boletines...








© Todos los Derechos Reservados Comité para la Atención de Fenómenos Meteorológicos Extremos, UADY 2025. Esta página puede ser reproducida con fines no lucrativos, siempre y cuando no se mutile, se cite la fuente completa y su dirección electrónica, de otra forma requiere permiso previo por escrito de la institución.