Hoy es: Martes, 4 de Noviembre de 2025
Lunes 27 de octubre de 2025
Fecha de publicación: Lunes, 27 de Octubre de 2025
Fuente: CIAFEME UADY

UNIVERSIDAD AUTÓNOMA DE YUCATÁN

COMITÉ INSTITUCIONAL PARA LA ATENCIÓN DE LOS FENÓMENOS METEOROLÓGICOS EXTREMOS

CENTRO METEOROLÓGICO

TEMPORADA DE CICLONES TROPICALES 2025

OCÉANO ATLÁNTICO, GOLFO DE MÉXICO Y MAR CARIBE

                                                                          Fecha: LUNES 27 DE OCTUBRE DE 2025

Hora: 06 h 00

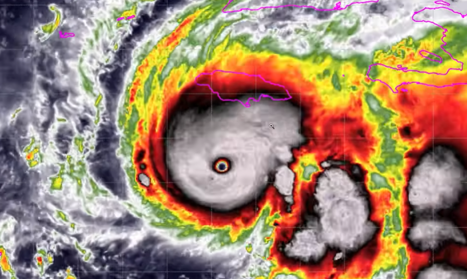
HURACÁN “MELISSA”

CATEGORÍA 5 ESCALA SAFFIR SIMPSON

 

IMAGEN DE SATELITE

www.noaa.gov

 

 

 

www.noaa.gov

 

 

IMAGEN DE POSIBLE TRAYECTORIA

 

MODELO TRAYECTORÍA INTELIGENCIA ARTIFICAL

MODELO TRAYECTORÍA CNH

 

SINOPSIS

 

 El huracán “MELISSA” ha alcanzado la máxima categoría 5 de la escala Saffir Simpson es ya uno de los peores huracanes de la historia escrita de la cuenca, se encontraba esta mañana en el mar caribe en la Latitud 16,4° Norte y 77,8° Oeste a 205 km al sur y sureste de Kingston, Jamaica y a 465 km al sur de Santiago de Cuba, tiene vientos sostenidos de 260 km/h con rachas mucho mayores, se mueve muy lento al oeste a 6 km/h y tiene una presión barométrica de 917 hPa.

Se espera cambie su moviéndose lento hoy al oeste y noroeste y luego norte y noroeste por la noche acercándose lentamente a la parte este y oeste de la isla de Jamaica.

En la trayectoria de pronóstico se espera que ingrese a primera hora del martes y la atraviese y salga al mar de nuevo a las 18 h 00 del mismo martes y luego se dirija hacia Santiago de Cuba a la cual llegaría al amanecer del miércoles.

El sistema se ha fortalecido muy rápido y se espera lo siga haciendo aún más pudiendo alcanzar vientos sostenidos de hasta 270 km/h siendo su punto de intensidad máximo en la madrugada del martes.

MELISSA cambiara la historia de la isla de Jamaica, se espera pasen años o décadas para reponerse de sus futuros impactos destructivos.

El Centro Nacional de Huracanes ha advertido que será uno de los peores huracanes en azotar a la isla de Jamaica en donde se esperan vientos destructivos, lluvias torrenciales de entre 600 mm a 800 mm de altura de lámina de agua precipitada y marejada ciclónica de 3 metros de altura y altura de oleaje de entre 7 a 9 metros destructivos y mortales para la costa

De hecho, el Centro nacional de Huracanes de Miami, Florida, E.U., también advierte que la isla de Jamaica se prepare para un evento de vientos huracanados con rachas de 250 km/h o más, lluvias torrenciales y marejadas ciclónicas para 3 o 4 días desde hoy.

Los modelos globales indican que las zonas bajo peligro inminente son la isla de Jamaica, este de Cuba y el centro y sur de las Bahamas y Haití y república dominicana.

Las autoridades mexicanas monitorean el comportamiento y desarrollo de este en extremo muy peligroso huracán como protocolo.

Por el momento no es de peligro para la península de Yucatán, es muy difícil por las condiciones atmosféricas imperantes en la misma península y golfo de México pudiera tratar de llegar a la zona debido a las altas presiones que imperan y además la vaguada que provocara un Frente Frío la enviara hacia el noreste, por lo que se invita a la población no caer en noticias alarmistas y sensacionalistas que están circulando y estar pendiente solo de la información oficial.

Elaboró: MANUEL MORALES QUIÑONES

                 GEORGINA CARRILLO MARTINEZ

Reviso: JUAN VÁZQUEZ MINTALVO

Dudas o sugerencias: vmontal@correo.uady.mx

Para más información: www.ciafeme.uady.mx

                                                                                                   

Fuente: CICESE/WPC/U.S.WEATHER/SMN/NOAA/CNH/CSU

 

 

 




Más Boletines...








© Todos los Derechos Reservados Comité para la Atención de Fenómenos Meteorológicos Extremos, UADY 2025. Esta página puede ser reproducida con fines no lucrativos, siempre y cuando no se mutile, se cite la fuente completa y su dirección electrónica, de otra forma requiere permiso previo por escrito de la institución.