Hoy es: Martes, 4 de Noviembre de 2025
Domingo 26 de octubre de 2025
Fecha de publicación: Domingo, 26 de Octubre de 2025
Fuente: CIAFEME UADY

UNIVERSIDAD AUTÓNOMA DE YUCATÁN

COMITÉ INSTITUCIONAL PARA LA ATENCIÓN DE LOS FENÓMENOS METEOROLÓGICOS EXTREMOS

CENTRO METEOROLÓGICO

TEMPORADA DE CICLONES TROPICALES 2025

OCÉANO ATLÁNTICO, GOLFO DE MÉXICO Y MAR CARIBE

                                                                        

Fecha: DOMINGO 26 DE OCTUBRE DE 2025

Hora: 08 h 00

HURACÁN “MELISSA”

CATEGORÍA 4 ESCALA SAFFIR SIMPSON

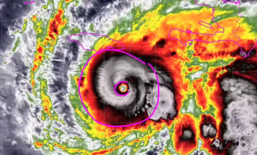
IMAGEN DE SATELITE

www.noaa.gov

 

 

 

 

IMAGEN DE POSIBLE TRAYECTORIA

www.noaa.gov

 

MODELO TRAYECTORÍA INTELIGENCIA ARTIFICAL

 

MODELO TRAYECTORÍA CNH

 

SINOPSIS

 

 El huracán “MELISSA” de categoría 4 de la escala Saffir Simpson esta mañana se encontraba en el mar caribe en la Latitud 16,3° Norte y 76,4° Oeste a 195 km al sur y sureste y a 415 km al sur de Santiago de Cuba, Cuba, tiene vientos sostenidos de 225 km/h con rachas mayores, se mueve muy lento al oeste a 6 km/h y tiene una presión barométrica de 953 hPa.

Se espera mantenga moviéndose lento hoy al oeste con tendencia oeste y noroeste acercándose lentamente a la isla de Jamaica.

En la trayectoria de pronóstico se espera se dirija hacia la isla de Jamaica a la cual se espera que la atraviese el martes en la madrugada por el centro o este de la misma.

El sistema se ha fortalecido muy rápido y se espera lo siga haciendo y más adelante sea huracán categoría 5 la máxima de la escala Saffir Simpson.

MELISSA tiene un ojo o centro despejado y bien definido, un anillo denso de convección de tormentas intensas y meso vórtices en la pared del ojo.

El Centro Nacional de Huracanes ha advertido que será uno de los peores huracanes en azotar a la isla de Jamaica en donde se esperan vientos destructivos, lluvias torrenciales de entre 750 mm a 1.200 mm de altura de lámina de agua precipitada y marejada ciclónica de 9 metros de altura que podría resultar muy mortal destructiva para las costas y esta marejada podría ser la peor registrada en el mar caribe de la historia.

De hecho, el Centro nacional de Huracanes de Miami, Florida, E.U., también advierte que la isla de Jamaica se prepare para un evento de vientos huracanados con rachas de 250 km/h o más, lluvias torrenciales y marejadas ciclónicas para 3 o 4 días desde hoy.

Los modelos matemáticos de posible trayectoria y de intensidad nos indican que cuando cruce la isla de Jamaica el próximo martes ya sea como un poderoso huracán 4 o 5 de la escala Saffir Simpson.

También los modelos de intensidad indican que cuando se ubique al sur de la isla de Jamaica podría ser un poderoso y peligroso huracán categoría 5 de la escala Saffir Simpson y pueda ser uno de los más intensos registrados en el mar Caribe solo comparado con GILBERTO en 1988 y WILMA en 2005.

Se espera que una Vaguada que se ubicará en el occidente del mar Caribe en 4 o 5 días le envíe aire de dirección suroeste y la mueva hacia el noreste rumbo a la isla de Jamaica el martes, cruce sobre este de la isla de Cuba y centro y sur de las islas de Bahamas el miércoles y jueves como huracán categoría 3 o 4 de la escala Saffir Simpson y también afecte sus bandas externas a Haití y república dominicana con copiosas lluvias torrenciales.

Los modelos globales indican que las zonas bajo peligro inminente son la isla de Jamaica, este de Cuba y el centro y sur de las Bahamas y Haití y república dominicana.

Las autoridades mexicanas monitorean el comportamiento y desarrollo de este en extremo muy peligroso huracán como protocolo.

Por el momento no es de peligro para la península de Yucatán, es muy difícil por las condiciones atmosféricas imperantes en la misma península y golfo de México pudiera tratar de llegar a la zona debido a las altas presiones que imperan y además la vaguada que provocara un Frente Frío la enviara hacia el noreste, por lo que se invita a la población no caer en noticias alarmistas y sensacionalistas que están circulando y estar pendiente solo de la información oficial.

Elaboró: MANUEL MORALES QUIÑONES

                 GEORGINA CARRILLO MARTINEZ

Reviso: JUAN VÁZQUEZ MINTALVO

Dudas o sugerencias: vmontal@correo.uady.mx

Para más información: www.ciafeme.uady.mx

                                                                                                   

Fuente: CICESE/WPC/U.S.WEATHER/SMN/NOAA/CNH/CSU

 

 

 




Más Boletines...








© Todos los Derechos Reservados Comité para la Atención de Fenómenos Meteorológicos Extremos, UADY 2025. Esta página puede ser reproducida con fines no lucrativos, siempre y cuando no se mutile, se cite la fuente completa y su dirección electrónica, de otra forma requiere permiso previo por escrito de la institución.